フィッシングパーク菅島釣果情報
鳥羽菅島の釣り筏 フィッシングパーク菅島です。
チヌ釣りはもちろん五目釣りなども!
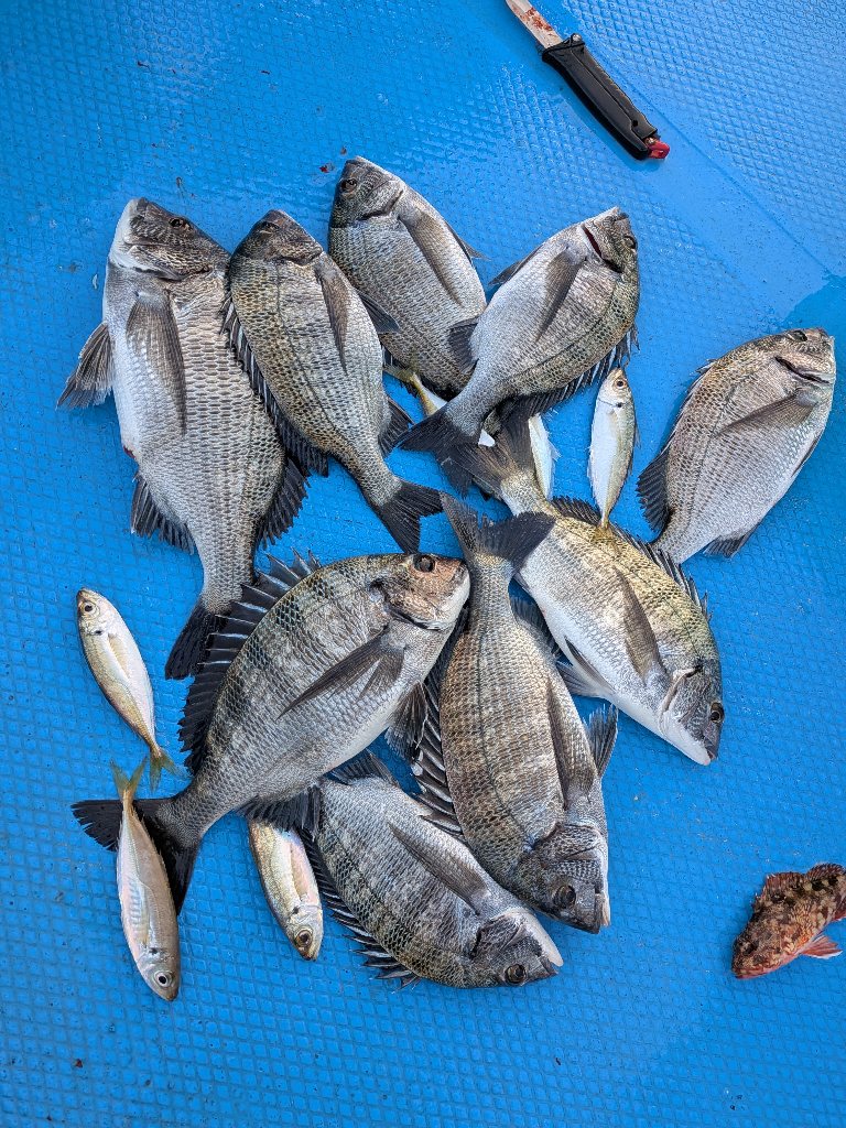
11月14日釣果
久瀬さん 38センチ頭に24枚 シラサ、オキアミ、コーンで
やっと20匹を超える釣果が出て良かったです。
後藤さん 40センチ頭に16枚 シラサ、オキアミで
東さん 37センチ頭に9枚
2025/11/14 17:18 |
固定リンク
|
釣果情報
NEXT
Profile
フィッシングパーク菅島
船頭 木下公孝
https://www.tobafps.com/
Calendar
«
2025年11月
»
日
月
火
水
木
金
土
1
2
3
4
5
6
7
8
9
10
11
12
13
14
15
16
17
18
19
20
21
22
23
24
25
26
27
28
29
30
Recent Posts
4月20日釣果
(04/20)
4月19日釣果
(04/19)
4月18日釣果
(04/18)
4月17日釣果
(04/17)
4月13日釣果
(04/13)
Archives
2026年04月
(9)
2026年03月
(2)
2026年02月
(2)
2026年01月
(4)
2025年12月
(15)
2025年11月
(19)
2025年10月
(8)
2025年09月
(7)
2025年08月
(7)
2025年07月
(5)
2025年06月
(9)
2025年05月
(7)
2025年04月
(12)
2025年03月
(2)
2025年02月
(2)
2025年01月
(5)
2024年12月
(12)
2024年11月
(20)
2024年10月
(20)
2024年09月
(10)
2024年08月
(7)
2024年07月
(7)
2024年06月
(8)
2024年05月
(11)
2024年04月
(14)
2024年03月
(16)
2024年02月
(7)
2024年01月
(12)
2023年12月
(18)
2023年11月
(23)
2023年10月
(14)
2023年09月
(8)
2023年08月
(9)
2023年07月
(16)
2023年06月
(16)
2023年05月
(5)
2023年04月
(7)
2023年03月
(2)
Category
釣果情報
(353)
お知らせ
(22)
(0)
-
Smart Blog
-