フィッシングパーク菅島釣果情報
鳥羽菅島の釣り筏 フィッシングパーク菅島です。
チヌ釣りはもちろん五目釣りなども!
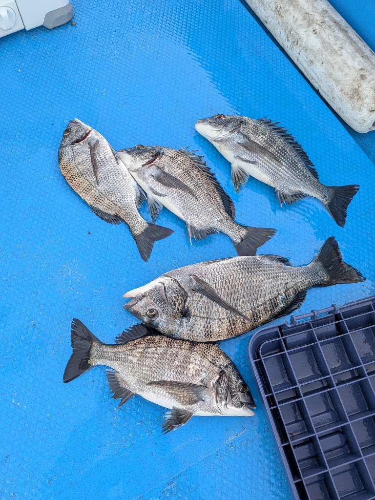
12月29日釣果
岩田さん チヌ7枚 今日はサイズも測れず、当たりエサも聞けませんでした。すみません。
堀尾さん チヌ5枚
2025/12/29 18:37 |
固定リンク
|
釣果情報
Profile
フィッシングパーク菅島
船頭 木下公孝
https://www.tobafps.com/
Calendar
«
2025年12月
»
日
月
火
水
木
金
土
1
2
3
4
5
6
7
8
9
10
11
12
13
14
15
16
17
18
19
20
21
22
23
24
25
26
27
28
29
30
31
Recent Posts
4月13日釣果
(04/13)
4月12日釣果
(04/12)
4月11日釣果
(04/11)
4月9日釣果
(04/09)
4月6日釣果
(04/06)
Archives
2026年04月
(5)
2026年03月
(2)
2026年02月
(2)
2026年01月
(4)
2025年12月
(15)
2025年11月
(19)
2025年10月
(8)
2025年09月
(7)
2025年08月
(7)
2025年07月
(5)
2025年06月
(9)
2025年05月
(7)
2025年04月
(12)
2025年03月
(2)
2025年02月
(2)
2025年01月
(5)
2024年12月
(12)
2024年11月
(20)
2024年10月
(20)
2024年09月
(10)
2024年08月
(7)
2024年07月
(7)
2024年06月
(8)
2024年05月
(11)
2024年04月
(14)
2024年03月
(16)
2024年02月
(7)
2024年01月
(12)
2023年12月
(18)
2023年11月
(23)
2023年10月
(14)
2023年09月
(8)
2023年08月
(9)
2023年07月
(16)
2023年06月
(16)
2023年05月
(5)
2023年04月
(7)
2023年03月
(2)
Category
釣果情報
(349)
お知らせ
(22)
(0)
-
Smart Blog
-